Rozpoczęto ocenę oddziaływania na środowisko dla planowanego punktu przetwarzania odpadów w Zdzieszowicach

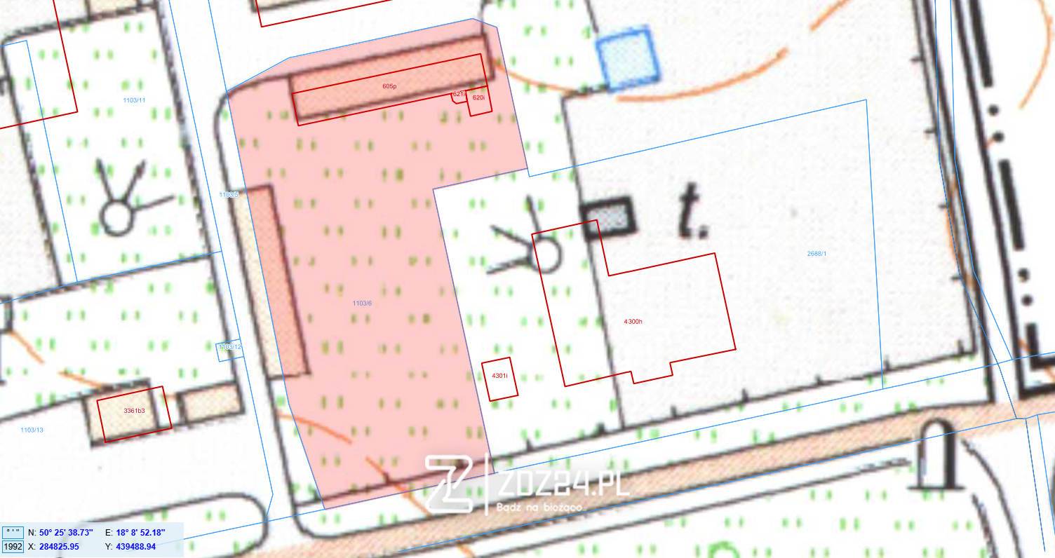
Burmistrz Zdzieszowic poinformował o przystąpieniu do przeprowadzenia oceny oddziaływania na środowisko dla przedsięwzięcia pn. „Punkt zbierania i przetwarzania odpadów zlokalizowany na działce ewidencyjnej nr 1103/6 (działka sąsiadująca z Mrówką), obręb Zdzieszowice”.

Postępowanie administracyjne prowadzone jest na wniosek spółki ZŁOM-MAX Sp. z o.o. z Kędzierzyna-Koźla. Organem właściwym do wydania decyzji środowiskowej jest Burmistrz Zdzieszowic, natomiast uzgodnienia prowadzą m.in. Regionalny Dyrektor Ochrony Środowiska w Opolu oraz Państwowe Gospodarstwo Wodne Wody Polskie RZGW Gliwice.

Od dnia 13 lutego 2026 r. w Urzędzie Miejskim w Zdzieszowicach wyłożono do publicznego wglądu wniosek o wydanie decyzji o środowiskowych uwarunkowaniach wraz z raportem oddziaływania przedsięwzięcia na środowisko oraz jego uzupełnieniem. Dokumentacja dostępna jest w Referacie Gospodarki Komunalnej i Ochrony Środowiska (pokój A-17) w godzinach od 7:30 do 15:30.

Mieszkańcy mogą składać uwagi i wnioski w terminie od 16 lutego 2026 r. do 17 marca 2026 r. Uwagi można wnosić w formie pisemnej, ustnie do protokołu lub drogą elektroniczną na adres srodowisko@zdzieszowice.pl. Uwagi złożone po terminie nie będą rozpatrywane.

To ważny etap procedury administracyjnej, w którym mieszkańcy mają możliwość zapoznania się z dokumentacją i wyrażenia swojego stanowiska w sprawie planowanej inwestycji.

Źródło: BIP/Urząd Miejski w ZdzieszowicachRozpoczęto ocenę oddziaływania na środowisko dla planowanego punktu przetwarzania odpadów w Zdzieszowicach

Burmistrz Zdzieszowic poinformował o przystąpieniu do przeprowadzenia oceny oddziaływania na środowisko dla przedsięwzięcia pn. „Punkt zbierania i przetwarzania odpadów zlokalizowany na działce ewidencyjnej nr 1103/6, obręb Zdzieszowice”.

Postępowanie administracyjne prowadzone jest na wniosek spółki ZŁOM-MAX Sp. z o.o. z Kędzierzyna-Koźla. Organem właściwym do wydania decyzji środowiskowej jest Burmistrz Zdzieszowic, natomiast uzgodnienia prowadzą m.in. Regionalny Dyrektor Ochrony Środowiska w Opolu oraz Państwowe Gospodarstwo Wodne Wody Polskie RZGW Gliwice.

Od dnia 13 lutego 2026 r. w Urzędzie Miejskim w Zdzieszowicach wyłożono do publicznego wglądu wniosek o wydanie decyzji o środowiskowych uwarunkowaniach wraz z raportem oddziaływania przedsięwzięcia na środowisko oraz jego uzupełnieniem. Dokumentacja dostępna jest w Referacie Gospodarki Komunalnej i Ochrony Środowiska (pokój A-17) w godzinach od 7:30 do 15:30.

Mieszkańcy mogą składać uwagi i wnioski w terminie od 16 lutego 2026 r. do 17 marca 2026 r. Uwagi można wnosić w formie pisemnej, ustnie do protokołu lub drogą elektroniczną na adres srodowisko@zdzieszowice.pl. Uwagi złożone po terminie nie będą rozpatrywane.

To ważny etap procedury administracyjnej, w którym mieszkańcy mają możliwość zapoznania się z dokumentacją i wyrażenia swojego stanowiska w sprawie planowanej inwestycji.

Link do BIP: https://bip.zdzieszowice.pl/23895/2026-02-13-obwieszczenie-burmistrza-zdzieszowic-dla-przedsiewziecia-pn-punkt-zbierania-i-przetwarzania-odpadow-zlokalizowany-na-dzialce-ewidencyjnej-nr-11036-obreb-zdzieszowice-gmina-zdzieszowice-powiat-krapkowicki-wojewodztwo-opolskie.html

Źródło: Urząd Miejski w Zdzieszowicach (BIP) | www.polska.geoportal2.p

Podobne posty

Młodzi recytatorzy wystąpią w Bibliotece w Zdzieszowicach

Radni przesądzili o zmianach w gminnej oświacie w Zdzieszowicach

Spotkanie Dyskusyjnego Klubu Książki – dyskusja o książce „W poszukiwaniu siebie” w Bibliotece w Zdzieszowicach

Ta strona używa plików cookie, aby poprawić Twoje doświadczenia. Założymy, że to Ci odpowiada, ale możesz zrezygnować, jeśli chcesz. Więcej